
Foto: SMN
El fenómeno se desplaza en el Océano Atlántico a mil 130 km de las costas de Quintana Roo

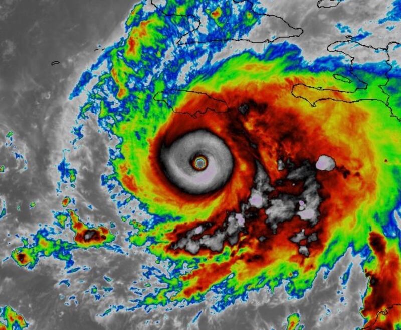
Este domingo, el huracán ‘Melissa’ alcanzó la categoría 4 en la escala Saffir-Simpson, según el último reporte emitido por la Comisión Nacional del Agua (Conagua).
No solo te informamos, te explicamos la política. Da clic aquí y recibe gratis nuestro boletín diario.
El fenómeno se localiza actualmente en el Océano Atlántico, a 185 km al sureste de Kingston, Jamaica, y a mil 130 km al este-sureste de Punta Herrero, Quintana Roo.
Además, presenta vientos máximos sostenidos de 230 km/h, rachas de 280 km/h, lo que representa un peligro para Haití y Jamaica.
La trayectoria pronosticada muestra que el sistema se mueve hacia el oeste a una velocidad de 7 km/h.
Sin embargo, debido a la distancia, autoridades estiman que el huracán no impactará en el territorio nacional y sus vientos no afectarán a las costas.

Pese a descartar algún riesgo, el SMN y Conagua continúan el monitoreo constante del huracán Melissa.
En cuanto a los mexicanos que se encuentran en los territorios que saldrán afectados, la Secretaría de Relaciones Exteriores indicó que ofrecerán servicio consular a los connacionales.
Además, recomendaron permanecer alerta de las notificaciones e instrucciones de cuidado y prevención de las autoridades locales, así como de la embajada en Kingston.